Sie sind hier: Home » Bauleitplanverfahren
Bauleitplanverfahren
Bekanntmachung Bauleitplanverfahren
Folgende Bauleitplanverfahren des Marktes Eckental sind verfügbar:
2. Änderung Bebauungsplan (BBP) Eschenau Nr. 21 „Eschenau - Nord 1“
Bekanntmachung
– Satzungsbeschluss gemäß § 10 Abs. 3 BauGB –
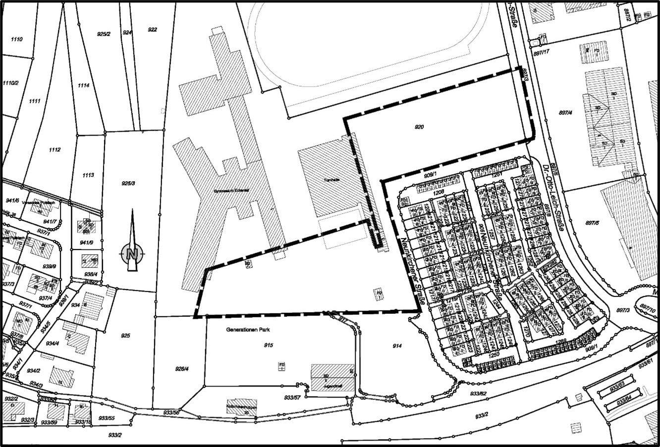
Der Bau- und Umweltausschuss des Marktes Eckental hat in seiner Sitzung am 20.01.2026 die 2. Änderung des BBP Eschenau Nr. 21 „Eschenau – Nord 1“ in der Fassung vom 20.01.2026 gemäß (gem.) § 10 Abs. 1 BauGB (Baugesetzbuch) als Satzung beschlossen. Dieser Beschluss wird hiermit gem. § 10 Abs. 3 BauGB ortsüblich bekannt gemacht.
Mit dieser Bekanntmachung tritt der BBP für das Gebiet westlich der Staatsstraße St 2240 und westlich der „Dr. – Otto – Leich- Straße“ in Kraft. Der Geltungsbereich liegt in den Gemarkung Eschenau und beinhaltet Teilflächen der Fl.-Nr. 920 und 897/7.
Der BBP, bestehend aus der Planurkunde, der Planbegründung mit Anlage 1 (Dokumentation artenschutzrechtlicher Begehungen) und einer schalltechnischen Untersuchung, kann im Rathaus der Marktgemeinde Eckental (Bauamt, Zimmer U.09, Rathausplatz 1, 90542 Markt Eckental) während der allgemein bekannten Dienst-/Öffnungszeiten eingesehen und über dessen Inhalt Auskunft verlangt werden.
https://eckental.de/bauleitplanverfahren/
Zusätzlich sind der Inhalt dieser Bekanntmachung und die vorgenannten Unterlagen auch im Geoportal Bayern unter folgendem Link online/digital einsehbar/zugänglich:
https://www.geoportal.bayern.de/bauleitplanungsportal
Auf die Voraussetzung für die Geltendmachung der Verletzung von Verfahrens- und Formvorschriften und von Mängeln der Abwägung sowie auf die Rechtsfolgen des § 215 Abs. 1 BauGB wird hingewiesen. Unbeachtlich werden demnach
- eine nach § 214 Abs. 1 Satz 1 Nr. 1 bis 3 BauGB beachtliche Verletzung der dort bezeichneten Verfahrens- und Formvorschriften,
- eine unter Berücksichtigung des § 214 Abs. 2 BauGB beachtliche Verletzung der Vorschriften über das Verhältnis des Bebauungsplans und des Flächennutzungsplans,
- nach § 214 Abs. 3 Satz 2 BauGB beachtliche Mängel des Abwägungsvorgangs und
- nach § 214 Abs. 2 a BauGB im beschleunigten Verfahren beachtliche Fehler,
wenn sie nicht innerhalb eines Jahres seit Bekanntmachung des BBP schriftlich gegenüber dem Markt Eckental geltend gemacht worden sind. Der begründete Sachverhalt, der die Verletzung oder den Mangel begründen soll, ist darzulegen.
Auf die Vorschriften des § 44 Abs. 3 Satz 1 und 2 BauGB sowie des § 44 Abs. 4 BauGB wird hingewiesen. Danach erlöschen Entschädigungsansprüche für nach den §§ 39 bis 42 BauGB eingetretene Vermögensnachteile, wenn nicht innerhalb von drei Jahren nach Ablauf des Kalenderjahres, in dem die Vermögensnachteile eingetreten sind, die Fälligkeit des Anspruches herbeigeführt wird.
Eckental, 02.03.2026
(Siegel)
……………………………………………………
Unterschrift
Ilse Dölle
1. Bürgermeisterin
Forth Nr. 11 Wohnbauentwicklung östlich der Gotzmannstraße
Bekanntmachung
– Satzungsbeschluss –
Der Bau- und Umweltausschuss des Marktes Eckental hat in seiner Sitzung am 29.07.2025 den Bebauungs- (BBP) und Grünordnungsplan (GOP) mit der Bezeichnung
„Forth Nr. 11 Wohnbauentwicklung östlich der Gotzmannstraße“
in der Fassung vom 29.07.2025 als Satzung beschlossen.
Der räumliche Geltungsbereich des Bebauungsplanes umfasst die Grundstücke mit den Flurnummern der Gemarkung: 116, 116/9, 116/11 – der Gemarkung Büg, weist eine Größe von ca. 0,25 ha auf und wird:
im Norden durch das Grundstück mit der Fl.-Nr. 117 (Gmkg. Büg, Grünfläche),
im Süden durch das Grundstück mit der Fl.-Nr. 116/6 (Gmkg. Büg, Wohnbaufläche),
im Westen durch das Grundstück mit der Fl.-Nr. 116/5 (Gmkg. Büg, Wohnbaufläche) sowie
im Osten durch das Grundstück mit der Fl.-Nr. 118 (Gmkg. Büg, Grünfläche) begrenzt.
Dieser Beschluss wird hiermit gemäß § 10 Abs. 3 des Baugesetzbuchs (BauGB) ortsüblich bekannt gemacht. Mit dieser Bekanntmachung tritt der Bebauungsplan in Kraft. Jedermann kann den Bebauungsplan mit der Begründung im Rathaus des Marktes Eckental (Markt Eckental, Bauverwaltung, Rathausplatz 1, 90542 Eckental) während der Öffnungszeiten Mo. – Fr. 08:00 – 12:00 Uhr und Di. zusätzlich 14:00 – 18:00 Uhr oder nach Terminvereinbarung einsehen und über deren Inhalt Auskunft verlangen.
Auf die Voraussetzungen für die Geltendmachung der Verletzung von Verfahrens- und Formvorschriften und von Mängeln der Abwägung sowie der Rechtsfolgen des § 215 Abs. 1 BauGB wird hingewiesen.
Unbeachtlich werden demnach
- eine nach § 214 Abs. 1 S. 1 Nr. 1 bis 3 BauGB beachtliche Verletzung der dort bezeichneten Verfahrens- und Formvorschriften,
- eine unter Berücksichtigung des § 214 Abs. 2 beachtliche Verletzung der Vorschriften über das Verhältnis des Bebauungsplans und des Flächennutzungsplans,
- nach § 214 Abs. 3 S. 2 BauGB beachtliche Mängel des Abwägungsvorgangs und
- nach § 214 Abs. 2a im beschleunigten Verfahren beachtliche Fehler,
wenn sie nicht innerhalb eines Jahres seit Bekanntmachung des Bebauungsplans schriftlich gegenüber der Gemeinde geltend gemacht worden sind; der Sachverhalt, der die Verletzung oder den Mangel begründen soll, ist darzulegen. Außerdem wird auf die Vorschriften des § 44 Abs. 3 Satz 1 und 2 sowie Abs. 4 BauGB hingewiesen. Danach erlöschen Entschädigungsansprüche für nach den §§ 39 bis 42 BauGB eingetretene Vermögensnachteile, wenn nicht innerhalb von drei Jahren nach Ablauf des Kalenderjahres, in dem die Vermögensnachteile eingetreten sind, die Fälligkeit des Anspruches herbeigeführt wird.
Ortsüblich bekanntgemacht durch das |
|
…………………………………………………………………………………………………………………………………………………………………………………… Erste Bürgermeisterin |
2. Änderung BBP Eschenau Nr. 21 „Eschenau - Nord 1“
Bekanntmachung
– Förmliche Öffentlichkeitsbeteiligung gemäß § 3 Abs. 2 BauGB –
Der Marktgemeinderat Eckental hat in seiner Sitzung am 22.07.2025 gemäß (gem.) § 2 Abs. 1 Satz 2 BauGB (Baugesetzbuch) den Beschluss zur Aufstellung der
„2. Änderung BBP Eschenau Nr. 21 „Eschenau – Nord 1“
gefasst. Der Geltungsbereich des BBP liegt vollflächig in der Gemarkung (Gmkg.) Eschenau, wird
im Norden durch die Grundstücke mit der Fl.-Nr. 920 (Schulgrundstück Gymnasium Eschenau) und 897/7 (Geh-/Radweg der Dr. – Otto – Leich – Straße),
im Süden durch die Grundstücke mit den Fl.-Nr. 915 und 926/4 (beide Generationenpark mit Jugendtreff und Familienstützpunkt „Gleis 3“), 917 (Straße/Verkehrsfläche) und 914 (P + R Parkplatz Eschenau)
im Westen durch das Grundstück mit der Fl.-Nr. 920 (Schulgrundstück Gymnasium Eschenau) sowie
im Osten durch die Grundstücke mit den Fl.-Nr. 897/3 (Dr. – Otto – Leich – Straße), 897/7 (Geh-/Radweg der Dr. – Otto – Leich – Straße) und 909/1 (Neunkirchner Straße)
begrenzt und beinhaltet Teilflächen der Fl.-Nr. 920 und 897/7 (Gmkg. Eschenau).
Es ist beabsichtigt, im Geltungsbereich im Wesentlichen Flächen für den Gemeinbedarf mit der Zweckbestimmung (Zwb.) „Sozialen, kulturellen und sportlichen Zwecken dienende Gebäude, Einrichtungen und Nutzungen, Gymnasium/ Schule mit Freisportanlagen und Hallenbad“ (§ 9 Abs. 1 Nr. 5 BauGB) sowie öffentliche Straßenverkehrsflächen (§ 9 Abs. 1 Nr. 11 BauGB) festzusetzen.
Das Bauleitplanverfahren wird gem. § 13 a BauGB (Bebauungsplan der Innenentwicklung) im beschleunigten Verfahren durchgeführt. Demnach gilt, dass von der Umweltprüfung nach § 2 Abs. 4 BauGB, von dem Umweltbericht nach § 2 a BauGB, von der Angabe nach § 3 Abs. 2 Satz 2 BauGB, welche Arten umweltbezogener Informationen verfügbar sind, sowie von der zusammenfassenden Erklärung nach § 10 a Abs. 1 BauGB abgesehen werden kann und vorliegend auch abgesehen wird. § 4 c BauGB (Überwachung) ist gleichfalls nicht anzuwenden. Der diesbezüglich geltenden Hinweispflicht gemäß § 13 a Abs. 3 Nr. 1 BauGB wurde hiermit nachgekommen.
Der Planentwurf in der Fassung vom 25.09.2025 wurde von der Ingenieuraktiengesellschaft Höhnen & Partner aus Bamberg ausgearbeitet und vom Bau- und Umweltausschuss des Marktes Eckental in der Sitzung am 25.09.2025 für die förmliche Öffentlichkeits-, Träger- und Behördenbeteiligung gem. §§ 3 Abs. 2 BauGB und 4 Abs. 2 BauGB bestimmt.
Der Planentwurf bestehend aus der Planurkunde, der Planbegründung (inkl. Anlage 1: Dokumentation artenschutzrechtlicher Begehungen), jeweils in der Fassung vom 25.09.2025 und einer schalltechnischen Untersuchung (Stand: 22.07.2025), ist in der Zeit vom
15.10.2025 bis einschließlich 17.11.2025
auf der Internetseite des Marktes Eckental unter folgendem Link online/digital einsehbar/ zugänglich:
https://eckental.de/bauleitplanverfahren/
Zusätzlich sind die vorgenannten Unterlagen auch im Geoportal Bayern unter folgendem Link online/digital einsehbar/zugänglich:
https://www.geoportal.bayern.de/bauleitplanungsportal
Weiterhin liegen die vorgenannten Planunterlagen auch im Rathaus der Marktgemeinde Eckental (Bauamt, Zimmer U.09, Rathausplatz 1, 90542 Markt Eckental) zu den allgemein bekannten Dienst-/Öffnungszeiten öffentlich aus, sind dort öffentlich zugänglich und können hier in Papierform eingesehen werden können. Während der vorgenannten Auslegungsfrist können beim Markt Eckental Anregungen/Hinweise zum BBP elektronisch an bauamt@eckental.de, bei Bedarf analog (in Papierform, Adresse siehe vorher) oder während der Dienststunden zur Niederschrift abgegeben werden. Nicht fristgerecht abgegebene Stellungnahmen können bei der Beschlussfassung über den BBP unberücksichtigt bleiben, wenn der Markt Eckental den Inhalt nicht kannte und nicht hätte kennen müssen und deren Inhalt für die Rechtmäßigkeit des BBP nicht von Bedeutung ist.
Die Verarbeitung personenbezogener Daten erfolgt auf der Grundlage der Art. 6 Abs. 1 e DSGVO (Datenschutzgrundverordnung) i. V. m. § 3 BauGB und dem BayDSG (Bayer. Datenschutzgesetz). Stellungnahmen ohne vollständige Absenderangaben erhalten keine Mitteilung über das Ergebnis der Prüfung. Weitere Informationen können dem Formblatt „Datenschutzrechtliche Informationspflichten im Bauleitplanverfahren“ entnommen werden, das ebenfalls öffentlich ausliegt.
Eckental, 26.09.2025
gez.
Ilse Dölle
1. Bürgermeisterin
Bekanntmachung
Bebauungs- und Grünordnungsplan Nr. 11 Forth
BEKANNTMACHUNG
Billigungsbeschluss / Beteiligung der Öffentlichkeit gemäß § 3 Abs. 2 BauGB
Der Rat des Marktes Eckental hat in seiner Sitzung am 08.04.2025 den Entwurf des Bebauungs- (BBPs) und Grünordnungsplans (GOPs) „Nr. 11 Forth“ mit Begründung gebilligt und beschlossen die Beteiligung der Öffentlichkeit gemäß § 3 Abs. 2 BauGB durchzuführen.
Die Aufstellung des Bebauungsplans erfolgt nach § 13a BauGB als sogenannter „Bebauungsplan der Innenentwicklung“ und wird demzufolge im beschleunigten Verfahren durchgeführt. Die Voraussetzungen hierfür liegen vor, da es sich um eine Nachverdichtungsmaßnahme handelt, eine Fläche von weniger als 20.000 m² versiegelt und keine Schutzgüter nach § 1 Abs. 6 Nr. 7b BauGB (= Natura 2000-Gebiete, FFH- und Vogelschutzgebiete) beeinträchtigt werden. Für die Bebauungsplanaufstellung ist im beschleunigten Verfahren im Sinne des § 13a Abs. 3 Satz 1 Ziff. 1 BauGB keine Durchführung einer Umweltprüfung nach § 2 Abs. 4 BauGB (strategische Umweltprüfung) erforderlich.
Der räumliche Geltungsbereich des Bebauungsplanes umfasst die Grundstücke mit den Flurnummern der Gemarkung: 116, 116/9, 116/11 – der Gemarkung Büg, weist eine Größe von ca. 0,25 ha auf und wird:
im Norden durch das Grundstück mit der Fl.-Nr. 117 (Gmkg. Büg, Grünfläche),
im Süden durch das Grundstück mit der Fl.-Nr. 116/6 (Gmkg. Büg, Wohnbaufläche),
im Westen durch das Grundstück mit der Fl.-Nr. 116/5 (Gmkg. Büg, Wohnbaufläche) sowie
im Osten durch das Grundstück mit der Fl.-Nr. 118 (Gmkg. Büg, Grünfläche) begrenzt.
Ziel und Zweck der Aufstellung des Bebauungs- und Grünordnungsplanes ist es Wohnbaufläche gemäß § 4 BauNVO zu schaffen, um den Bedarf nach Wohnraum Rechnung zu tragen.
Der Inhalt dieser Bekanntmachung und die auszulegenden Unterlagen zum Entwurf (Planteil, textliche Festsetzungen, Begründung + Anhang) sind in der Zeit vom
14.04.2025 bis 30.05.2025
im Internet auf der Seite www.eckental.de unter dem Menüpunkt „Planen, Bauen & Wohnen“ – „Bauleitplanverfahren“ (https://eckental.de/bauleitplanverfahren/) veröffentlicht.
Zusätzlich liegen die Unterlagen im Rathaus des Marktes Eckental (Rathausplatz 1, 90542 Eckental, Bauamt, Zimmer UG1.09) während der allgemein bekannten Dienstzeiten öffentlich aus.
Während der Auslegungsfrist können von jedem beim Markt Eckental Anregungen schriftlich oder mündlich zur Niederschrift vorgebracht werden. Nicht fristgerecht abgegebene Stellungnahmen können bei der Beschlussfassung über die Bauleitplanung unberücksichtigt bleiben.
Datenschutz:
Die Verarbeitung personenbezogener Daten erfolgt auf der Grundlage der Art. 6 Abs. 1 Buchst. e (DSGVO) i. V. mit § 3 BauGB und dem BayDSG. Sofern Sie Ihre Stellungnahme ohne Absenderangaben abgeben, erhalten Sie keine Mitteilung über das Ergebnis der Prüfung. Weitere Informationen entnehmen Sie bitte dem Formblatt „Datenschutzrechtliche Informationspflichten im Bauleitplanverfahren“ das ebenfalls öffentlich ausliegt (siehe gesonderte Mustervorlage).
Eckental, den 11.04.2025
Markt Eckental
gez.
Ilse Dölle
Erste Bürgermeisterin
02 BBP_Forth_11_TextlFest_ENTW
05 Bekanntmachung_BPlan Nr. 11 Wohnbauentwicklung östl. der Gotzmannstr Anlage_Bodengutachten
8. Änderung des Flächennutzungs- und Landschaftsplanes (FNP/LSP)
Bekanntmachung
– Erneute öffentliche Auslegung gemäß § 3 Abs. 2 i. V. m. § 4 a Abs. 3 BauGB –
Der Marktgemeinderat Eckental hat am 16.04.2015 beschlossen, die
- Änderung des Flächennutzungs- und Landschaftsplanes (FNP/LSP)
durchzuführen. Die 8. Änderung umfasst sechs Änderungsbereiche („ÄB“). Diese werden wie folgt begrenzt:
Der „ÄB 1“ befindet sich am südwestlichen Siedlungsrand des Ortsteiles Brand, westlich der Bundesstraße B 2 bzw. westlich der Brander Hauptstraße und der Rosenstraße, südlich des Asternweges und des Lavendelweges. Der Geltungsbereich umfasst eine Fläche von ca. 2,13 ha und beinhaltet voll- oder teilflächig (TF) die Grundstücke mit den Flur – Nummern (Fl.-Nr.). 78/2, 369/3 (TF), 372 (TF), 372/4 (TF), 372/5 (TF), 372/6 (TF), 372/7 (TF), 374/1 (TF), 374/2 (TF), 376, 376/2 – 376/29, 376/34, 376/56 und 528/3 (TF) der Gemarkung (Gmkg.) Brand.
Der „ÄB 2“ befindet sich am südlichen Siedlungsrand des Ortsteiles Eckenhaid, südlich der Flurstraße, östlich der Kreisstraße Kr ERH 9 bzw. westlich der Straße Südring. Der Geltungsbereich umfasst eine Fläche von t ca. 4,06 ha und beinhaltet voll- oder teilflächig (TF) die Grundstücke mit den Fl.-Nr. 504/2 (TF), 642,643, 648/1 – 648/6, 649/1 – 649/3, 649/9, 649/12, 649/15, 650, 650/1 – 650/5, 651, 651/1 – 651/2, 652, 652/1 – 652/2, 653, 653/1 – 653/2, 654, 654/1 – 654/2, 655, 655/1, 656, 656/2 – 656/4, 657, 657/6 (TF), 657/7 – 657/9, 665/1 – 665/3, 665/12, 666 und 666/1 – 666/3 (alle Gmkg. Eckenhaid).
Der „ÄB 3“ befindet sich am südlichen Siedlungsrand des Ortsteiles Forth, östlich der B 2 bzw. der Forther Hauptstraße, westlich der Kr ERH 9 bzw. westlich und südlich der Ohmstraße. Der Geltungsbereich umfasst eine Fläche von ca. 1,25 ha und beinhaltet vollflächig die Grundstücke der Gemarkung Büg mit den Fl.-Nr. 164, 164/2, 165, 166 und 167.
Der „ÄB 4“ befindet sich am nördlichen Siedlungsrand des Ortsteiles Eschenau, südlich der B 2, nördlich der Forchheimer Straße und westlich der Dr. – Otto – Leich – Straße. Der Geltungsbereich umfasst eine Fläche von ca. 6,36 ha und beinhaltet voll- oder teilflächig (TF) die Grundstücke mit den Fl.-Nr. 686/9 (TF), 922, 924, 925/2, 925/3, 1018 (TF), 1019 (TF), 1020 (TF), 1033/3 (TF), 1034 (TF), 1037 (TF), 1038/1 (TF), 1039 (TF), 1042 (TF), 1042/2 (TF), 1043/3 (TF), 1044 (TF), 1045, 1045/2 (TF), 1046, 1047, 1097/2 (TF), 1096/1, 1097/6, 1098/4, 1099/4, 1100/4, 1101 (TF), 1102, 1104 (TF). 1105 (TF), 1105/1, 1106 (TF), 1107 (TF), 1108 (TF), 1109 (TF), 1110/2 (TF), 1111 (TF), 1112 (TF), 1113 (TF), 1114 (TF), 1115 (TF), 1115/1 (TF), 1116/1 (TF), 1116/2 (TF), 1117 (TF), 1118 (TF), 1119, 1120 (TF) und 1147/4 (alle Gmkg. Eschenau).
|
Der „ÄB 5“ befindet sich am östlichen Siedlungsrand des Ortsteiles Eschenau, nördlich des Recyclinghofes Eckental in der Schnaittacher Straße. Der Geltungsbereich umfasst eine Fläche von ca. 0,22 ha und beinhaltet vollflächig die Grundstücke mit den Fl.-Nr. 491 und 492 (beide Gemarkung Eschenau).
Der „ÄB 6“ befindet sich im Ortsteil Forth, östlich der Bismarckstraße, südlich der B 2 (Forther Hauptstraße), direkt südlich der Bahnlinie 5920 Nürnberg Nordost – Gräfenberg. Der Geltungsbereich des umfasst eine Fläche von ca. 1,11 ha und beinhaltet voll- oder teilflächig (TF) die Grundstücke mit den Fl.-Nr. 228/4, 232 (TF), 233, 235/3 und 235/4 (alle Gemarkung Forth).
Im Zuge der 8. Änderung wurden auf Grundlage des rechtskräftigen BBP/GOP Brand Nr. 20 „Am Lavendelweg“ die Flächen des „ÄB 1“ zwischenzeitlich als „Allgemeines Wohngebiet“ gemäß § 4 Abs. 1 und 2 BauNVO inkl. dazugehöriger Erschließungsstraßen (öffentliche Verkehrsflächen) entwickelt. Die Flächen des „ÄB 2“ wurden auf Grundlage des rechtskräftigen BBP/GOP Eckenhaid Nr. 17 „Südlich der Flurstraße“ zwischenzeitlich als „Allgemeines „Wohngebiet“ gemäß § 4 Abs. 1 und 2 BauNVO inkl. der dazugehörigen Erschließungsstraßen (öffentliche Straßenverkehrsflächen) und Flächen für die Abwasserbeseitigung (zur Errichtung eines Regenrückhaltebeckens) entwickelt. Die im „ÄB 3“ als Sonderbauflächen dargestellten Bereiche wurden auf Grundlage des rechtskräftigen BBP/GOP Forth – Süd Nr. 10 „Sondergebiet großflächiger Einzelhandel südwestlich der Ohmstraße“ zwischenzeitlich als „Sonstiges Sondergebiet“ mit der Zweckbestimmung „Großflächiger Einzelhandel“ gemäß § 11 BauNVO baulich entwickelt, die restlichen Flächen werden in gemischte Bauflächen (§ 1 Abs. 1 Nr. 2 BauNVO) geändert. Im „ÄB 4“ werden Flächen in gemischte Bauflächen (§ 1 Abs. 1 Nr. 2 BauNVO), in Verkehrsflächen (§ 5 Abs. 2 Nr. 3 BauGB), Bahnflächen (§ 5 Abs. 2 Nr. 3 BauGB), öffentliche Grünflächen (§ 5 Abs. 2 Nr. 5 BauGB) und in einen Grünzug (Siedlungsflächendurchgrünung) geändert. Im „ÄB 5“ wurden die vormals vorhandenen, landwirtschaftlich genutzten Flächen zwischenzeitlich auf Grundlage vorliegender Genehmigungen bebaut und sind als Teil des nunmehr erweiterten Recyclinghofes in Betrieb. Im „ÄB 6“ werden Wohnbauflächenflächen in Grünflächen (§ 5 Abs. 2 Nr. 5 BauGB) geändert.
Der erneute Planentwurf in der Fassung vom 30.09.2025 wurde vom Marktgemeinderat Eckental in der Sitzung am 30.09.2025 für die erneute öffentliche Öffentlichkeits-, Träger- und Behördenbeteiligung gem. §§ 3 Abs. 2 und 4 Abs. 2 BauGB i. V. m. § 4a Abs. 3 BauGB bestimmt.
Folgende Arten umweltbezogener Informationen sind verfügbar:
- Planbegründung zum erneuten Planentwurf in der Fassung vom 30.09.2025 mit umweltbezogenen Informationen, in wie weit naturschutzfachliche Schutzgebiete, Boden-/Baudenkmäler, Ensembles und/oder landschaftsprägende Denkmäler vorliegen bzw. von der Planung betroffen sind sowie mit umweltbezogenen Informationen zu den Aspekten Altlasten und Wasser (Hochwasserschutzgebiete, wassersensible Bereiche, Wasserschutzgebiete, Grundwasser) und zu sonstigen Schutzgütern. Weiterhin enthält die Planbegründung Informationen zu den Themen Schmutz-und Niederschlagswasserbeseitigung, Trinkwasser, Elektrizität/ Telekommunikation, Müllbeseitigung, zu Grünflächen, zu Flächen für die Landwirtschaft und Wald, zu Planungen, Nutzungsregelungen, Maßnahmen und Flächen für Maßnahmen zum Schutz, zur Pflege und zur Entwicklung von Natur und Landschaft und zum Immissionsschutz (Verkehrslärm, landwirtschaftliche Emissionen, Gewerbelärm, Geruchsemissionen) und zum Immissionsschutz. Des Weiteren sind Angaben zu artenschutzrechtlichen Belangen sowie Flächenbilanzen enthalten.
- Umweltbericht zum erneuten Planentwurf in der Fassung vom 30.09.2025 mit einer Kurzdarstellung der Ziele und Inhalte der 8. FNP-/LSP – Änderung (Beschreibung der Änderungsvorhaben, Art und Maß der Änderungen, Angaben zum Bedarf an Grund und Boden), mit einer Bestandsaufnahme (Beschreibung der natürlichen Grundlagen, der landschaftlichen Situation und der bestehenden Nutzungen, mit Angaben zu Schutzgebieten und zu schützenswerten Landschaftsteilen), mit einer Beschreibung der Umweltschutzziele aus übergeordneten Fachgesetzen/-planungen sowie deren erfolgter Berücksichtigung (BauGB, Landesentwicklungsprogramm, Regionalplan, Arten-/Biotopschutzprogramm), mit einer Beschreibung und Bewertung der Umweltauswirkungen (Bestandsaufnahme/-bewertung des Umweltzustandes der Umweltmerkmale bezogen auf die Schutzgüter Mensch, Flora/Fauna, Boden, Wasser, Luft/Klima, Landschafts-/Siedlungsbild/Freiraumerhaltung, Kultur-/sonstige Sachgüter, Prognose über die Entwicklung des Umweltzustandes bei Nichtdurchführung der Planung), mit einer Beschreibung der Maßnahmen zur Vermeidung/Verringerung einschließlich der Anwendung der naturschutzfachlichen Eingriffs-/Ausgleichsregelung (inkl. Beschreibung alternativer Planungsmöglichkeiten), mit einer Beschreibung der verwendeten Methodik und mit Hinweisen auf Schwierigkeiten/Kenntnislücken sowie mit einer Beschreibung zur Überwachung (Monitoring). Der Umweltbericht schließt mit einer allgemein verständlichen Zusammenfassung.
- Darüber hinaus liegen im Rahmen der frühzeitigen, der förmlichen und der erneuten förmlichen Beteiligungen abgegebene Stellungnahmen mit umweltrelevanten/umweltbezogenen Informationen zu den Themen Baugebietseingrünung, Innenentwicklung, zu Ausgleichs- und Ersatzmaßnahmen, zur Eingriffs- und Ausgleichsregelung, zur Schmutz-/ Niederschlagswasserbeseitigung, zur Aktivierung vorhandener Baulandflächenreserven, zur Reduzierung von Baulücken und zum Thema Baulückenkataster, zum Landschaftsbild und der Kulturlandschaft, zum Schall-/Immissionsschutz (hierzu zählend auch Aspekte potenzieller Geruchsbelästigungen), zur Bevölkerungsentwicklung/-prognose, zu agrarstrukturellen Belangen (Thema Landwirtschaft, Inanspruchnahme landwirtschaftlicher Nutzflächen, Bereitstellung von Ersatzflächen, Bodengüte), zum speziellen Artenschutz, zu den Themen Bodenschutz/ Altlasten, zur Bedarfsermittlung und Bilanzierung von Wohn-/Siedlungsflächen, zur Alternativenprüfung, zu Aspekten der Siedlungsflächenzersiedelung, zur Ortsrandeingrünung/ Ortsrandgestaltung zum öffentlicher Personennahverkehr, zu den Belangen der Wasserwirtschaft (z. B. Gewässer, Hochwasserschutz, Starkregenereignisse), der Denkmalpflege (Kultur-, Boden-, Baudenkmalpflege) und übergeordneter Planungsvorhaben (Verkehrsinfrastrukturen wie Bahnanlagen, Betroffenheiten von Staatsstraßen, Planungsvorhaben zur Realisierung von Ortsumgeheungen) vor.
Der erneute Planentwurf mit Planbegründung und separatem Umweltbericht jeweils in der Fassung vom 30.09.2025 sowie die vorgenannten Stellungnahmen mit umweltrelevanten/umweltbezogenen Informationen sind in der Zeit vom
15.10.2025 bis einschließlich 17.11.2025
auf der Internetseite des Marktes Eckental unter folgendem Link online/digital einsehbar/ zugänglich:
https://eckental.de/bauleitplanverfahren/
Zusätzlich sind die vorgenannten Unterlagen auch im Geoportal Bayern unter folgendem Link online/digital einsehbar/zugänglich:
https://www.geoportal.bayern.de/bauleitplanungsportal
Zudem liegen die vorgenannten Planunterlagen auch im Rathaus der Marktgemeinde Eckental (Bauamt, Zimmer U.09, Rathausplatz 1, 90542 Markt Eckental) zu den allgemein bekannten Dienst-/ Öffnungszeiten öffentlich aus, sind dort öffentlich zugänglich und können hier in Papierform eingesehen werden. Während der vorgenannten Auslegungsfrist können beim Markt Eckental Anregungen/Hinweise zur 8. Änderung des FNP/LSP elektronisch an bauamt@eckental.de, bei Bedarf analog (in Papierform, Adresse siehe vorher) oder während der Dienststunden zur Niederschrift abgegeben werden. Nicht fristgerecht abgegebene Stellungnahmen können bei der Beschlussfassung zur 8. Änderung des FNP/LSP unberücksichtigt bleiben, wenn der Markt Eckental den Inhalt nicht kannte und nicht hätte kennen müssen und deren Inhalt für die Rechtmäßigkeit zur 8. Änderung des FNP/LSP nicht von Bedeutung ist.
Eine Vereinigung im Sinne des § 4 Abs. 3 S. 1 Nr. 2 UmwRG (Umwelt – Rechtsbehelfsgesetzes) ist in einem Rechtsbehelfsverfahren nach § 7 Abs. 2 UmwRG gemäß § 7 Abs. 3 S. 1 UmwRG mit allen Einwendungen ausgeschlossen, die sie im Rahmen der Auslegungsfrist nicht oder nicht rechtzeitig geltend gemacht hat, aber hätte geltend machen können (§ 3 Abs. 3 BauGB).
Die Verarbeitung personenbezogener Daten erfolgt auf der Grundlage des Art. 6 Abs. 1 e DSGVO (Datenschutz – Grundverordnung) i. V. m. § 3 BauGB und dem BayDSG (Bayerisches Datenschutzgesetz). Stellungnahmen ohne vollständige Absenderangaben erhalten keine Mitteilung über das Ergebnis der Prüfung. Weitere Informationen können dem Formblatt „Datenschutzrechtliche Informationspflichten im Bauleitplanverfahren“ entnommen werden, das ebenfalls öffentlich ausliegt.
Eckental, 26.09.2025
(Siegel)
……………………………………………………
Unterschrift
Ilse Dölle
1. Bürgermeisterin
Anlagen:
Planurkunde_EW_erneute Auslegung
Umweltrelevante Stellungnahmen
Bekanntmachung erneute Auslegung 8.FNP
Datenschutzrechtliche Informationen
Bekanntmachung
der Genehmigung der 9. Änderung des Flächennutzungsplanes mit integriertem Landschaftsplan gemäß § 6 Abs. 5 BauGB
Der Marktgemeinderat des Marktes Eckental hat in seiner Sitzung am 22.07.2025 die
- Änderung des Flächennutzungsplans mit integriertem Landschaftsplan (FNP)
für zwei Teilbereiche bei Oberschöllenbach und Eckenhaid festgestellt. Mit Bescheid vom 29.09.2025 hat das Landratsamt Erlangen-Höchstadt die Genehmigung der 9. Änderung des FNP erteilt (AZ: 62.1 6100/121/IV/24). Dies wird hiermit gemäß § 6 Abs. 5 BauGB ortsüblich bekanntgemacht. Mit dieser Bekanntmachung wird die 9. Änderung des Flächennutzungsplanes mit integriertem Landschaftsplan wirksam.
Der Geltungsbereich der Flächennutzungsplanänderung besteht aus einem 1. Änderungsbereich im Nordwesten des Ortsteils Oberschöllenbach, westlich der Oberschöllenbacher Hauptstraße und nördlich der Moselstraße, und einem 2. Änderungsbereich nördlich des Ortsteils Eckenhaid, nördlich des Fasanenwegs.
Der räumliche Geltungsbereich ergibt sich aus dem beigefügten Kartenausschnitt (Lageplan) in dem die beiden Änderungsbereiche gekennzeichnet sind.
Der 1. Änderungsbereich umfasst, auf einer Fläche von ca. 3,57 ha, die Flurstücke Nrn. 27 (tlw.), 27/1, 27/2, 27/3, 28/1, 28/2, 28/3, 28/4, 29/2 (tlw.) in der Gemarkung Unterschöllenbach sowie die Flurstücke Nrn. 342, 342/3, 342/4, 342/5, 342/6, 342/7, 342/8, 342/10, 342/11, 342/12, 342/13, 342/14, 342/15, 342/16, 342/17, 342/18, 342/19, 342/20, 342/21, 342/22, 344, 344/1, 344/2, 344/3, 344/4, 344/5, 344/6, 344/7, 344/8, 344/9, 345, 345/4, 345/5, 345/6, 345/7, 345/8, 345/9, 346, 346/2, 346/3, 346/4, 346/5, 346/6, 346/7, 346/8, 347, 347/4, 347/5, 347/6, 347/7, 347/8, 347/9, 347/10, 347/11, 347/12, 347/13, 348/2, 348/9, 348/10, 348/11, 352/19 in der Gemarkung Oberschöllenbach, Markt Eckental.
Der 2. Änderungsbereich umfasst, auf einer Fläche von ca. 3,00 ha, die Flurstücke Nrn. 316 (tlw.), 317 (tlw.), 318 (tlw.), 319 (tlw.), 320 (tlw.), 321 (tlw.), 322, 323, 324, 325, 329 (tlw.), 330 (tlw.), 331 (tlw.), 331/5 (tlw.), 332 (tlw.), 333/2 (tlw.), 334/1 (tlw.), 335/1 (tlw.), 336 (tlw.), 337/1 (tlw.), 338/1 (tlw.), 339/1 (tlw.), 340/2 (tlw.), 341 (tlw.), 342 (tlw.), 344 (tlw.), 346 (tlw.), 347 (tlw.), 348 (tlw.) und 349/1 (tlw.) in der Gemarkung Eckenhaid.
Anlass für die FNP-Änderung war die geplante Entwicklung von Wohnbebauung im Nordwesten von Oberschöllenbach. Zu diesem Zweck erfolgte die Darstellung von Wohnbauflächen innerhalb des 1. Änderungsbereiches. Im 2. Änderungsbereich erfolgte die Rücknahme von bisher dargestellten Wohnbauflächen und stattdessen die Darstellung von Flächen für die Landwirtschaft.
Die 9. Änderung des Flächennutzungsplanes mit Begründung, Umweltbericht und zusammenfassender Erklärung über die Art und Weise, wie die Umweltbelange und die Ergebnisse der Öffentlichkeits- und Behördenbeteiligungen in der Änderung des Flächennutzungsplans berücksichtigt wurden und aus welchen Gründen der Plan nach Abwägung mit den geprüften, in Betracht kommenden anderweitigen Planungsmöglichkeiten gewählt wurde, wird vom Tag der Veröffentlichung dieser Bekanntmachung an, zu jedermanns Einsicht im Rathaus des Marktes Eckental, Rathausplatz 1, 90542 Eckental, Bauamt, während der üblichen Öffnungszeiten (Montag bis Freitag von 08.00-12.00 Uhr und Dienstag von 14.00-18.00 Uhr) bereit gehalten. Außerhalb dieses Zeitraums können Termine zur Einsichtnahme vereinbart werden. Auf Verlangen wird über den Inhalt des Bebauungsplans Auskunft erteilt.
Auf die Voraussetzungen für die Geltendmachung der Verletzung von Verfahrens- und Formvorschriften und von Mängeln der Abwägung sowie der Rechtsfolgen des § 215 Abs. 1 BauGB wird hingewiesen.
Unbeachtlich werden demnach:
- eine nach § 214 Abs. 1 Satz 1 Nr. 1 bis 3 BauGB beachtliche Verletzung der dort bezeichneten Verfahrens- und Formvorschriften,
- eine unter Berücksichtigung des § 214 Abs. 2 BauGB beachtliche Verletzung der Vorschriften über das Verhältnis des Bebauungsplans und des Flächennutzungsplans und
- nach § 214 Abs. 3 Satz 2 BauGB beachtliche Mängel des Abwägungsvorgangs,
wenn sie nicht innerhalb eines Jahres seit dieser Bekanntmachung schriftlich gegenüber dem Markt Eckental (Markt Eckental, Rathausplatz 1, 90542 Eckental) geltend gemacht worden sind; der Sachverhalt, der die Verletzung oder den Mangel begründen soll, ist darzulegen.
Die Behörden werden ferner auf ihre Mitwirkungspflicht gemäß § 4 Abs. 3 BauGB hingewiesen.
Eckental, 03.11.2025
gez.
Ilse Dölle
1. Bürgermeisterin
Anlagen:
Bekanntmachung
– Satzungsbeschluss –
Der Bau- und Umweltausschuss des Marktes Eckental hat in seiner Sitzung am 23.01.2024 den Bebauungs- (BBP) und Grünordnungsplan (GOP) mit der Bezeichnung
„Eschenau Nr. 32 „lm Zentrum ll, An der Eschenauer Hauptstraße“
in der Fassung vom 23.01.2024 als Satzung beschlossen.
Mit dieser Bekanntmachung tritt der Bebauungs- und Grünordnungsplan „Eschenau Nr. 32 „lm Zentrum ll, An der Eschenauer Hauptstraße““ in Kraft. Jedermann kann diesen Bebauungs- und Grünordnungsplan mit der Begründung im Rathaus des Marktes Eckental (Rathausplatz 1, 90542 Eckental, Bauamt, Zimmer UG1.09) während der allgemeinen Dienststunden einsehen und über den Inhalt Auskunft verlangen.
Der Geltungsbereich umfasst vollflächig die Grundstücke 878/2 und 877/2 der Gemarkung Eschenau.
Auf die Voraussetzungen für die Geltendmachung der Verletzung von Verfahrens- und Formvorschriften und von Mängeln der Abwägung sowie die Rechtsfolgen des § 215 Abs. 1 BauGB wird hingewiesen.
Unbeachtlich werden demnach
1. eine nach § 214 Abs. 1 S. 1 Nr. 1 bis 3 BauGB beachtliche Verletzung der dort bezeichneten Verfahren- und Formvorschriften,
2. eine unter Berücksichtigung des § 214 Abs. 2 BauGB beachtliche Verletzung der Vorschriften über das Verhältnis des Bebauungsplans und des Flächennutzungsplans,
3. nach § 214 Abs. 3 S. 2 BauGB beachtliche Mängel des Abwägungsvorgangs und
4. nach § 214 Abs. 2a BauGB im beschleunigten Verfahren beachtliche Fehler,
wenn sie nicht innerhalb eines Jahres seit Bekanntmachung des Bebauungsplans schriftlich gegenüber der Gemeinde geltend gemacht worden sind; der Sachverhalt, der die Verletzung oder den Mangel begründen soll, ist darzulegen. Außerdem wird auf die Vorschriften des § 44 Abs. 3 Satz 1 und 2 sowie Abs. 4 BauGB hingewiesen. Danach erlöschen Entschädigungsansprüche für nach den §§ 39 bis 42 BauGB eingetretene Vermögensnachteile, wenn nicht innerhalb von drei Jahren nach Ablauf des Kalenderjahres, in dem die Vermögensnachteile eingetreten sind, die Fälligkeit des Anspruches herbeigeführt wird.
Eckental, 01.02.2024
Felix Zosel, 3. Bürgermeister
01 Bekanntmachung
2 BBP_Im Zentrum_Plan_SATZ
3 BBP_Im Zentrum_Begr_SATZ
4 Anlage _Schallschutzgutachten_20230511
Bekanntmachung
– Satzungsbeschluss –
Der Bau- und Umweltausschuss des Marktes Eckental hat in seiner Sitzung am 23.01.2024 den Bebauungs- (BBP) und Grünordnungsplan (GOP) mit der Bezeichnung
„Eschenau Nr. 8/10a „Änderung der Wohnbauflächen im Bereich des Bebauungsplanes Hallerwiese III im Stich Kalchreuther Straße“
in der Fassung vom 23.01.2024 als Satzung beschlossen.
Der Geltungsbereich des Bebauungsplanes umfasst jeweils vollflächig die Grundstücke mit den Fl.-Nr. 252/14, 257/8 – 257/12, 257/14 und 257/18 – 257/25 (alle Gmkg. Eschenau). Er befindet sich am süd-westlichen Ortsrand des Ortsteils Eschenau.
Dieser Beschluss wird hiermit gemäß § 10 Abs. 3 des Baugesetzbuchs (BauGB) ortsüblich bekannt gemacht. Mit dieser Bekanntmachung tritt der Bebauungsplan in Kraft. Jedermann kann den Bebauungsplan mit der Begründung im Rathaus des Marktes Eckental (Markt Eckental, Bauverwaltung, Rathausplatz 1, 90542 Eckental) während der Öffnungszeiten Mo. – Fr. 08:00 – 12:00 Uhr und Di. zusätzlich 14:00 – 18:00 Uhr oder nach Terminvereinbarung einsehen und über deren Inhalt Auskunft verlangen.
Auf die Voraussetzungen für die Geltendmachung der Verletzung von Verfahrens- und Formvorschriften und von Mängeln der Abwägung sowie der Rechtsfolgen des § 215 Abs. 1 BauGB wird hingewiesen.
Unbeachtlich werden demnach
1. eine nach § 214 Abs. 1 S. 1 Nr. 1 bis 3 BauGB beachtliche Verletzung der dort bezeichneten Verfahrens- und Formvorschriften,
2. eine unter Berücksichtigung des § 214 Abs. 2 beachtliche Verletzung der Vorschriften über das Verhältnis des Bebauungsplans und des Flächennutzungsplans,
3. nach § 214 Abs. 3 S. 2 BauGB beachtliche Mängel des Abwägungsvorgangs und
4. nach § 214 Abs. 2a im beschleunigten Verfahren beachtliche Fehler,
wenn sie nicht innerhalb eines Jahres seit Bekanntmachung des Bebauungsplans schriftlich gegenüber der Gemeinde geltend gemacht worden sind; der Sachverhalt, der die Verletzung oder den Mangel begründen soll, ist darzulegen. Außerdem wird auf die Vorschriften des § 44 Abs. 3 Satz 1 und 2 sowie Abs. 4 BauGB hingewiesen. Danach erlöschen Entschädigungsansprüche für nach den §§ 39 bis 42 BauGB eingetretene Vermögensnachteile, wenn nicht innerhalb von drei Jahren nach Ablauf des Kalenderjahres, in dem die Vermögensnachteile eingetreten sind, die Fälligkeit des Anspruches herbeigeführt wird.
Ortsüblich bekanntgemacht durch das
Amtsblatt am 01.02.2024
Eckental, 01.02.2024
Felix Zosel, 3. Bürgermeister
1 Bekanntmachung
2 Eckental_Eschenau_BP_Endfassung
3 Begründung_Eckental_Eschenau_Endfassung
Bekanntmachung
des Satzungsbeschlusses
für den Bebauungsplan Nr. 11 „Westlich der Oberschöllenbacher Haupstraße“
In der Sitzung des Bau- und Umweltausschusses am 08.07.2025 wurde der Bebauungsplan Nr. 11 gemäß § 10 BauGB als Satzung beschlossen. Dieser Beschluss wird hiermit gemäß § 10 Abs. 3 des BauGB ortsüblich bekannt gemacht. Der Bebauungsplan tritt mit dieser Bekanntmachung in Kraft (§ 10 Abs. 3 Satz 4 BauGB).
Das Plangebiet befindet sich am nordwestlichen Rand des Ortsteils Oberschöllenbach im Westen des Marktes Eckental. Der räumliche Geltungsbereich ergibt sich aus dem beigefügten Kartenausschnitt (Lageplan) in dem der Planbereich gekennzeichnet ist.
Das Plangebiet ist ca. 32.600 m² (3,3 ha) groß und umfasst folgende Flurstücke:
Gemarkung Oberschöllenbach:
Flst. Nr. 342, 342/11, 342/12, 342/13, 342/14, 342/15, 342/16, 342/17, 342/18, 342/19, 342/20, 342/21, 342/22, 344, 344/1, 344/2, 344/3, 344/4, 344/5, 344/6, 344/7, 344/8, 344/9, 345, 345/4, 345/5, 345/6, 345/7, 345/8, 345/9, 346, 346/2, 346/3, 346/4, 346/5, 346/6, 346/7, 346/8, 347, 347/4, 347/5, 347/6, 347/7, 347/8, 347/9, 347/10, 347/11, 347/12, 347/13, 348/2, 348/9, 348/10, 348/11, 352/19,
Gemarkung Unterschöllenbach:
Flst. Nr. 27 (tlw.), 27/2, 27/3, 28/1, 28/2, 28/3, 28/4, 29/2 (tlw.)
Mit der Aufstellung des Bebauungsplanes wurde als Hauptplanungsziel die Festsetzung eines Allgemeinen Wohngebietes nach § 4 BauNVO festgesetzt.
Der Bebauungsplan mit Begründung, Umweltbericht und zusammenfassender Erklärung über die Art und Weise, wie die Umweltbelange und die Ergebnisse der Öffentlichkeits- und Behördenbeteiligungen in der Aufstellung des Bebauungsplans berücksichtigt wurden und aus welchen Gründen der Plan nach Abwägung mit den geprüften, in Betracht kommenden anderweitigen Planungsmöglichkeiten gewählt wurde, wird vom Tag der Veröffentlichung dieser Bekanntmachung an, zu jedermanns Einsicht im Rathaus des Marktes Eckental, Rathausplatz 1, 90542 Eckental, Bauamt, während der üblichen Öffnungszeiten (Montag bis Freitag von 08.00-12.00 Uhr und Dienstag von 14.00-18.00 Uhr) bereit gehalten. Außerhalb dieses Zeitraums können Termine zur Einsichtnahme vereinbart werden. Auf Verlangen wird über den Inhalt des Bebauungsplans Auskunft erteilt.
Auf die Voraussetzungen für die Geltendmachung der Verletzung von Verfahrens- und Formvorschriften und von Mängeln der Abwägung sowie der Rechtsfolgen des § 215 Abs. 1 BauGB wird hingewiesen.
Unbeachtlich werden demnach:
- eine nach § 214 Abs. 1 Satz 1 Nr. 1 bis 3 BauGB beachtliche Verletzung der dort bezeichneten Verfahrens- und Formvorschriften,
- eine unter Berücksichtigung des § 214 Abs. 2 BauGB beachtliche Verletzung der Vorschriften über das Verhältnis des Bebauungsplans und des Flächennutzungsplans und
- nach § 214 Abs. 3 Satz 2 BauGB beachtliche Mängel des Abwägungsvorgangs,
wenn sie nicht innerhalb eines Jahres seit dieser Bekanntmachung schriftlich gegenüber dem Markt Eckental (Markt Eckental, Rathausplatz 1, 90542 Eckental) geltend gemacht worden sind; der Sachverhalt, der die Verletzung oder den Mangel begründen soll, ist darzulegen.
Außerdem wird auf die Vorschriften des § 44 Abs. 3 Satz 1 und 2 sowie Abs. 4 BauGB hingewiesen. Danach erlöschen Entschädigungsansprüche für nach den §§ 39 bis 42 BauGB eingetretene Vermögensnachteile, wenn nicht innerhalb von drei Jahren nach Ablauf des Kalenderjahres, in dem die Vermögensnachteile eingetreten sind, die Fälligkeit des Anspruches herbeigeführt wird.
Die Behörden werden ferner auf ihre Mitwirkungspflicht gemäß § 4 Abs. 3 BauGB hingewiesen.
Eckental, 03.11.2025
gez.
Ilse Dölle
1. Bürgermeisterin
Anlagen:
– Satzungsbeschluss gemäß § 10 Abs. 3 BauGB –
Bebauungs- und Grünordnungsplan (BBP/GOP) Forth Nr. 9 a
„Erweiterung Wohnbaufläche nördlich der Dr. – Rolf – Filler – Straße und
westlich der Kr ERH 9″
Der Bau- und Umweltausschuss des Marktes Eckental hat in seiner Sitzung am 16.07.2024 den BBP/GOP Forth Nr. 9 a mit der Bezeichnung „Erweiterung Wohnbaufläche nördlich der Dr. – Rolf – Filler – Straße und westlich der Kr ERH 9“ in der Fassung vom 16.07.2024 gemäß (gem.) § 10 Abs. 1 BauGB (Baugesetzbuch) als Satzung beschlossen. Dieser Beschluss wird hiermit gem. § 10 Abs. 3 BauGB ortsüblich bekannt gemacht. Mit dieser Bekanntmachung tritt der BBP/GOP für das Gebiet im Südosten von Forth, direkt westlich an der Kreisstraße Kr ERH 9 (Kurt – Schumacher – Straße), direkt nördlich an der Dr. – Rolf – Filler – Straße und östlich der Bismarckstraße in Kraft. Der Geltungsbereich liegt in der Gemarkung Forth und beinhaltet folgende Grundstücke voll- oder teilflächig (TF): Fl.-Nr. 250/1 (TF), 251 (TF), 251/1, 251/2 (TF), 254, 255, 255/1 und 256.
Der BBP/GOP, bestehend aus der Planurkunde, der Planbegründung, der schalltechnischen Untersuchung sowie der artenschutzrechtlichen Relevanzabschätzung kann im Rathaus des Marktes Eckental (Rathausplatz 1, 90542 Eckental) während der allgemein bekannten Dienst-/ Öffnungszeiten eingesehen und über dessen Inhalt Auskunft verlangt werden. Die Planunterlagen stehen auch online/digital auf der Homepage des Marktes Eckental zur Einsichtnahme zur Verfügung.
Zusätzlich sind die vorgenannten Unterlagen auch im Geoportal Bayern unter folgendem Link online/digital einsehbar/zugänglich:
Auf die Voraussetzung für die Geltendmachung der Verletzung von Verfahrens- und Formvorschriften und von Mängeln der Abwägung sowie auf die Rechtsfolgen des § 215 Abs. 1 BauGB wird hingewiesen. Unbeachtlich werden demnach
1) eine nach § 214 Abs. 1 Satz 1 Nr. 1 bis 3 BauGB beachtliche Verletzung der dort bezeichneten Verfahrens- und Formvorschriften,
2) eine unter Berücksichtigung des § 214 Abs. 2 BauGB beachtliche Verletzung der Vorschriften über das Verhältnis des Bebauungsplans und des Flächennutzungsplans,
3) nach § 214 Abs. 3 Satz 2 BauGB beachtliche Mängel des Abwägungsvorgangs und
4) nach § 214 Abs. 2 a BauGB im beschleunigten Verfahren beachtliche Fehler,
wenn sie nicht innerhalb eines Jahres seit Bekanntmachung des BBP/GOP schriftlich gegenüber dem Markt Eckental geltend gemacht worden sind. Der begründete Sachverhalt, der die Verletzung oder den Mangel begründen soll, ist darzulegen.
Auf die Vorschriften des § 44 Abs. 3 Satz 1 und 2 BauGB sowie des § 44 Abs. 4 BauGB wird hingewiesen. Danach erlöschen Entschädigungsansprüche für nach den §§ 39 bis 42 BauGB eingetretene Vermögensnachteile, wenn nicht innerhalb von drei Jahren nach Ablauf des Kalenderjahres, in dem die Vermögensnachteile eingetreten sind, die Fälligkeit des Anspruches herbeigeführt wird.
Ilse Dölle
1. Bürgermeisterin
00_Bekanntmachung
01_Planurkunde_SB
02_Planbegründung_SB
03_Schalltechnische Untersuchung_SB
04_Artenschutzrechtliche Relevanzabschätzung_SB
05_Datenschutzrechtliche Informationspflicht im Bauleitverfahren
Bekanntmachung
– Aufstellungsbeschluss gemäß § 2 Abs. 1 BauGB –
Der Marktgemeinderat Eckental hat am 29.03.2022 gemäß (gem.) § 2 Abs. 1 BauGB (Baugesetzbuch) die Neuaufstellung des Bebauungs- und Grünordnungsplanes (BBP/GOP) Eschenau Nr. 8/10 a mit der Bezeichnung
„Änderung der Wohnbauflächen im Bereich des Bebauungsplanes Hallerwiese III im Stich Kalchreuther Straße“
beschlossen.Das Plangebiet liegt im Süden von Eschenau in der Gemarkung Eschenau. Der räumliche Geltungsbereich des BBP/GOP wird
im Norden durch das Grundstück mit der Flur – Nummer (Fl.-Nr.) 252/7 (Kalchreuther Straße, Fahrbahn, mit Gehwegen),
im Osten durch die Grundstücke mit den Fl.-Nr. 252/15 (Grünfläche mit Bewuchs und Grundstückszufahrt), 257/6, 263/15, 263/17 bis 263/19 (alles Privatgrundstücke mit Wohnhaus, Garagen, Stellplätzen, privaten Gartenflächen),
im Süden durch die Grundstücke mit den Fl.-Nr. 263/48 und 257 (beides landwirtschaftliche Nutzfläche) sowie
im Westen durch die Grundstücke mit den Fl.-Nr. 257/2 bis 257/5 und 257/7 (alles Privatgrundstück mit Wohnhäusern, Garagen, Stellplätzen, privaten Gartenflächen),
begrenzt und umfasst jeweils vollflächig die Grundstücke mit den Fl.-Nr. 252/14, 257/8 – 257/12, 257/14 und 257/18 – 257/21 (alle Gmkg. Eschenau).
Innerhalb des Geltungsbereiches wird ein „Allgemeines Wohngebiet“ gemäß § 4 Abs. 1 und Abs. 2 BauNVO sowie eine öffentliche Verkehrsfläche gemäß § 9 Abs. 1 Nr. 11 BauGB festgesetzt.
Die Öffentlichkeit wird gemäß den gesetzlichen Bestimmungen über den weiteren Verlauf des Bauleitplanverfahrens und über die genauen Details informiert, sobald die Planung in dem dafür notwendigen Umfang erarbeitet und konkretisiert ist.
Beabsichtigt ist die Durchführung des Bauleitverfahrens gemäß § 13 a BauGB als Bebauungsplan der Innenentwicklung im beschleunigten Verfahren. Auch hierzu wird die Öffentlichkeit im weiteren Planungsverlauf detailliert informiert.
Eckental, 30.03.2022
Ilse Dölle,
1. Bürgermeisterin
1. Bekanntmachung Aufstellungsbeschluss
2. Bekanntmachung Veränderungssperre
3. Veränderungssperre Planblatt
4. Begründung zur Veränderungssperre
– Satzungsbeschluss –
Der Bau- und Umweltausschuss des Marktes Eckental hat in seiner Sitzung am 03.12.2019 den Bebauungs (BBP) und Grünordnungsplan (GOP) Nr. 21d mit der Bezeichnung
in der Fassung vom 03.12.2019 als Satzung beschlossen.
Mit dieser Bekanntmachung tritt der Bebauungs- und Grünordnungsplan „Eschenau – An der Dr.-Otto-Leich-Straße II“ in Kraft. Jedermann kann den Bebauungs- und Grünordnungsplan „Eschenau – An der Dr.-Otto-Leich-Straße II“ mit der Begründung im Rathaus des Marktes Eckental (Rathausplatz 1, 90542 Eckental, Bauamt, Zimmer UG1.09) während der allgemeinen Dienststunden einsehen und über den Inhalt Auskunft verlangen.
Der Geltungsgebereich des BBPs/GOPs umfasst vollflächig oder teilflächig (TF) folgende Grundstücke der Gemarkung (Gmkg.) Eschenau: Fl.-Nrn. 887 (TF), 887/1, 887/2, 887/3 (TF), 888 (TF), 888/1 (TF), 897 und 897/14.
Auf die Voraussetzungen für die Geltendmachung der Verletzung von Verfahrens- und Formvorschriften und von Mängeln der Abwägung sowie die Rechtsfolgen des § 215 Abs. 1 BauGB wird hingewiesen.
Unbeachtlich werden demnach
1. eine nach § 214 Abs. 1 Satz 1 Nr. 1 bis 3 BauGB beachtliche Verletzung der dort bezeichneten Verfahrens- und Formvorschriften,
2. eine unter Berücksichtigung des § 214 Abs. 2 BauGB beachtliche Verletzung der Vorschriften über das Verhältnis des Bebauungsplans und des Flächennutzungsplans,
3. nach § 214 Abs. 3 Satz 2 BauGB beachtliche Mängel des Abwägungsvorgangs und
4. nach § 214 Abs. 2a im beschleunigten Verfahren beachtliche Fehler,
wenn sie nicht innerhalb eines Jahres seit Bekanntmachung des Bebauungsplans schriftlich gegenüber der Gemeinde geltend gemacht worden sind; der Sachverhalt, der die Verletzung oder den Mangel begründen soll, ist darzulegen. Außerdem wird auf die Vorschriften des § 44 Abs. 3 Satz 1 und 2 sowie Abs. 4 BauGB hingewiesen. Danach erlöschen Entschädigungsansprüche für nach den §§ 39 bis 42 BauGB eingetretene Vermögensnachteile, wenn nicht innerhalb von drei Jahren nach Ablauf des Kalenderjahres, in dem die Vermögensnachteile eingetreten sind, die Fälligkeit des Anspruches herbeigeführt wird.
Ortsüblich bekanntgemacht durch das
Amtsblatt am 09.12.2019
Markt Eckental, den 09.12.2019
Ilse Dölle,
1. Bürgermeisterin
Bekanntmachung
BBP GOP 21d_PLan_SATZ_191203_Ausf
BBP GOP_21d_Eckental_Begründung_SATZUNG
2018-12-06_Sorge, Schallimmissionsschutztechnische Untersuchung (geschwärzt)
2019-04-16 Sorge_13322_004_im_BPlan (geschwärzt)
Bodengutachten mit Anlagen
Artenschutzrechtliche Stellungnahme

Bekanntmachung
– Genehmigung gemäß § 10 Abs. 3 BauGB –
„Südlich der Flurstraße“
Markt Eckental
Der Marktgemeinderat von Eckental hat mit Beschluss vom 23.01.2018 den BBP/GOP Eckenhaid Nr. 17 mit der Bezeichnung „Südlich der Flurstraße“ als Satzung beschlossen.
Mit Bescheid vom 02.08.2018 (Az 62.1 6102/121/8/16) hat das Landratsamt Erlangen-Höchstadt den BBP/GOP Eckenhaid Nr. 17 „Südlich der Flurstraße“ genehmigt. Die Erteilung der Genehmigung wird hiermit gemäß § 10 Abs. 3 des Baugesetzbuches (BauGB) ortsüblich bekannt gemacht. Mit dieser Bekanntmachung wird der BBP/GOP Eckenhaid Nr. 17 „Südlich der Flurstraße“ wirksam.
Jedermann kann den BBP/GOP (Planzeichnung mit zeichnerischen/textlichen Festsetzungen), die Begründung, den Umweltbericht sowie die zusammenfassende Erklärung über die Art und Weise, wie die Umweltbelange und die Ergebnisse der Öffentlichkeits- und Behördenbeteiligung in dem Bebauungsplan berücksichtigt wurden, und aus welchen Gründen der Plan nach Abwägung mit den geprüften, in Betracht kommenden anderweitigen Planungsmöglichkeiten gewählt wurde, im Rathaus der Marktgemeinde Eckental (Bauamt, Zimmer U.01, Rathausplatz 1, 90542 Markt Eckental) während der allgemein bekannten Dienstzeiten einsehen und über deren Inhalt Auskunft verlangen.
Auf die Voraussetzung für die Geltendmachung der Verletzung von Verfahrens- und Formvorschriften und von Mängeln der Abwägung sowie auf die Rechtsfolgen des § 215 Abs. 1 BauGB wird hingewiesen.
Unbeachtlich werden demnach
3) nach § 214 Abs. 3 Satz 2 BauGB beachtliche Mängel des Abwägungsvorgangs,
4) nach § 214 Abs. 2a BauGB im beschleunigten Verfahren beachtliche Fehler,
wenn sie nicht innerhalb eines Jahres seit Bekanntmachung des BBPs/GOPs schriftlich gegenüber dem Markt Eckental geltend gemacht worden sind; der Sachverhalt, der die Verletzung oder den Mangel begründen soll, ist darzulegen.
Auf die Vorschriften des § 44 Abs. 3 Satz 1 und 2 sowie Abs. 4 BauGB hingewiesen. Danach erlöschen Entschädigungsansprüche für nach den §§ 39 bis 42 BauGB eingetretene Vermögensnachteile, wenn nicht innerhalb von drei Jahren nach Ablauf des Kalenderjahres, in dem die Vermögensnachteile eingetreten sind, die Fälligkeit des Anspruches herbeigeführt wird.
Eckental, den 03.12.2018
Ilse Dölle,
1. Bürgermeisterin
Bekanntmachung über die Genehmigung
Bebauungsplan mit integriertem Grünordnungsplan vom 23.01.2018
Begründung mit Umweltbericht vom 23.01.2018
Anlage 1 Bestandsplan
Anlage 2 Bewertungsplan
Anlage 3 Eingriffsplan
Geotechnischer Bericht (Baugrundgutachten vom 22.06.2016)
Ergänzung zum geotechnischen Bericht (Ergänzung Baugrundgutachten vom 04.07.2016)
Schalltechnische Untersuchung vom 14.11.2017
Zusammenfassende Erklärung
Bekanntmachung
Genehmigung gemäß § 10 Abs. 3 BauGB
für den
Bebauungs- und Grünordnungsplan Forth-Süd Nr. 10
„Sondergebiet großflächiger Einzelhandel südwestlich der Ohmstraße“
Der Bau- und Umweltausschuss des Marktes Eckental hat in seiner Sitzung am 23.07.2019 und am 08.10.2019 den Bebauungs- und Grünordnungsplan (BBP/GOP) Forth-Süd Nr. 10 „Sondergebiet großflächiger Einzelhandel südwestlich der Ohmstraße“ in der Fassung vom 23.07.2019 bzw. in der redaktionell ergänzten Fassung vom 08.10.2019 gemäß (gem.) § 10 Abs. 1 BauGB (Baugesetzbuch) als Satzung beschlossen.
Mit Bescheid vom 18.10.2019 (Az. 62.1 6102/121/1/18) hat das Landratsamt Erlangen-Höchstadt den BBP/GOP genehmigt. Die Erteilung der Genehmigung wird hiermit gem. § 10 Abs. 3 BauGB ortsüblich bekannt gemacht. Mit dieser Bekanntmachung tritt der BBP/GOP für das Gebiet am südlichen Ortsrand von Forth, direkt südöstlich der B 2 im Übergang zur freien Landschaft in Kraft. Der Geltungsbereich beinhaltet folgende Grundstücke der Gemarkung Büg voll- oder teilflächig (TF): 163/10 (TF), 164/2 (TF), 164/5, 166/2, 166/3 (TF), 167, 167/2 (TF), 167/3 und 171/2 (TF).
Jedermann kann den BBP/GOP bestehend aus der Planurkunde, der Planbegründung mit separatem Umweltbericht (mit Anlage 1: Bestandsplan; Anlage 2: Bewertungsplan; Anlage 3: Eingriffsplan; Anlage 4: Übersichtstabelle Monitoring; Anlage 5: Maßnahmenbeschreibung externe Ausgleichsfläche), mit der zusammenfassenden Erklärung über die Art und Weise, wie die Umweltbelange und die Ergebnisse der Öffentlichkeits- und Behördenbeteiligung berücksichtigt wurden und aus welchen Gründen der Plan nach Abwägung mit den geprüften, in Betracht kommenden, anderweitigen Planungsmöglichkeiten gewählt wurde, mit der schalltechnischen Untersuchung, mit der speziellen artenschutzrechtliche Prüfung (saP), mit der Bau-grunduntersuchung, mit der Kampfmittelvorerkundung im Rathaus des Marktes Eckental (Rathausplatz 1, 90542 Eckental, Bauamt, Zimmer UG1.09) während der allgemein bekannten Dienst-/ Öffnungszeiten einsehen und über deren Inhalt Auskunft verlangen. Ergänzend stehen die Planunterlagen auch online/digital auf der Homepage des Marktes Eckental für jedermann zur Einsichtnahme zur Verfügung.
Auf die Voraussetzung für die Geltendmachung der Verletzung von Verfahrens- und Formvorschriften und von Mängeln der Abwägung sowie auf die Rechtsfolgen des § 215 Abs. 1 BauGB wird hingewiesen. Unbeachtlich werden demnach
1) eine nach § 214 Abs. 1 Satz 1 Nr. 1 bis 3 BauGB beachtliche Verletzung der dort bezeichneten Verfahrens- und Formvorschriften,
2) eine unter Berücksichtigung des § 214 Abs. 2 BauGB beachtliche Verletzung der Vorschriften über das Verhältnis des Bebauungsplans und des Flächennutzungsplans,
3) nach § 214 Abs. 3 Satz 2 BauGB beachtliche Mängel des Abwägungsvorgangs,
4) nach § 214 Abs. 2a BauGB im beschleunigten Verfahren beachtliche Fehler,
wenn sie nicht innerhalb eines Jahres seit Bekanntmachung des BBPs/GOPs schriftlich gegenüber dem Markt Eckental geltend gemacht worden sind. Der Sachverhalt, der die Verletzung oder den Mangel begründen soll, ist darzulegen.
Auf die Vorschriften des § 44 Abs. 3 Satz 1 und 2 BauGB sowie des § 44 Abs. 4 BauGB wird hingewiesen. Danach erlöschen Entschädigungsansprüche für nach den §§ 39 bis 42 BauGB eingetretene Vermögensnachteile, wenn nicht innerhalb von drei Jahren nach Ablauf des Kalenderjahres, in dem die Vermögensnachteile eingetreten sind, die Fälligkeit des Anspruches herbeigeführt wird.
Markt Eckental, den 28.10.2019
……………………………………………………
Ort, Tag
……………………………………………………
gez.
Dölle, 1. Bürgermeisterin
Bekanntmachung Genehmigung – Kopie
1. Bebauungs- und Grünordnungsplan
2. Planbegründung
3. Anlage 1_Bestandsplan
4. Anlage 2_Bewertungsplan
5. Anlage 3_Eingriffsplan
6. Anlage 4_Übersichtstabelle Monitoring
7. Anlage 5_Maßnahmenbeschreibung externe Ausgleichsfläche
8. Schalltechnische Untersuchung
9. Spezielle artenschutzrechtliche Prüfung
10. Anlage 1 zur speziellen artenschutzrechtlichen Prüfung
11. Baugrunduntersuchung
12. Ergebnisbericht Kampfmittelvorerkundung
13. Zusammenfassende Erklärung